Азиміна трилопатева — дуже цікава плодова культура з родини анонових, що швидко набирає популярності в садівників України. Її природний ареал — вологі широколистяні ліси східної частини Північної Америки, там вона зростає у підліску, утворюючи невеликі зарості. В наших умовах азиміна демонструє високу морозостійкість, адаптивність до різних типів ґрунтів і природну стійкість до шкідників і хвороб, чого бракує навіть деяким з традиційних плодових культур.
Головні шкідники і хвороби персика та нектарина
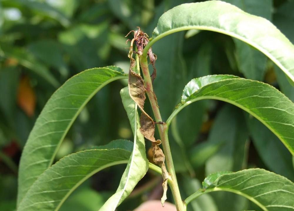
Персик належить до культур чутливих до шкідників і особливо грибних захворювань. Щоб отримувати стабільний і якісний урожай, важливо знати основні загрози, розуміти їхні ознаки й своєчасно застосовувати агроприйоми та засоби захисту.
Серед шкідників персика найпоширенішою є східна плодожерка. Гусінь пошкоджує молоді пагони й плоди, що призводить до викривлення пагонів і осипання зав’язі. Зимує вона в коконах у тріщинах кори або під опалим листям, тому восени важливо ретельно очищати дерева, обрізати пошкоджені гілки й прибирати рослинні рештки. У період льоту метеликів доцільно проводити обприскування інсектицидами, наприклад на основі лямбда-цигалотрину чи хлорантраніліпролу, які ефективно діють проти личинок у ранніх стадіях розвитку.
Попелиця (тля) висмоктує соки з молодих пагонів і листя, спричиняючи їх деформацію та пригнічення росту. Для запобігання розмноженню колоній варто уникати загущення крони, підтримувати рівновагу між ростом і живленням, а при появі перших ознак зараження обробити дерева системними інсектицидами.
Щитівки оселяються на корі, живляться соком пагонів і сильно послаблюють дерева. Вони зимує під щитками, тому очищення кори восени, весняна обробка під час спокою і підтримання загального фітосанітарного стану саду мають вирішальне значення.
Сливова плодожерка, окрім сливи, часто уражує й персик. Її гусінь проникає у плоди, викликаючи їх опадання. Санітарна обрізка, знищення пошкоджених плодів і своєчасні інсектицидні обробки під час льоту метеликів дозволяють зменшити шкоду.
Серед хвороб персика особливо поширений клястероспоріоз, або дірчаста плямистість. На листках утворюються бурі плями з червоною облямівкою, які згодом випадають, залишаючи дірки. Пагони вкриваються помаранчевими плямами і тріщинами з камедетечею. Щоб стримати розвиток хвороби, восени проводять обробку мідьвмісними препаратами, а навесні — прорідження крони для покращення вентиляції.
Курчавість листя — одна з найнебезпечніших хвороб. Вона проявляється на початку весни, коли вологість висока. Листя потовщується, червоніє, скручується, а молоді пагони відстають у рості. Для захисту ефективні профілактичні обприскування до початку цвітіння, а також до трьох разів з інтервалом 10-14 днів, залежно від рівня ураження. Найпопулярнішими препаратами для боротьби з курчавістю персика є Хорус, Скор, Міравіс, Ридоміл Голд та Магнікур Сенсейшн, а також фунгіциди на основі міді, як-от Медян Екстра, Чемпіон чи аналоги. Рекомендується чергувати препарати різних хімічних груп для запобігання резистентності.
Борошниста роса уражує молоді листя, пагони, плоди покриваючи їх білим чи сірим нальотом. Вона особливо активно розвивається після дощів у спеку. Уражені пагони можуть відмирати, а плоди деформуються. Своєчасна обрізка заражених гілок, збір та знищення опалого листя і плодів і обробка фунгіцидами типу «Топаз» або «Топсин-М» після цвітіння значно знижує ризик поширення хвороби.
Моніліоз, або сіра плодова гниль, є найпоширенішим грибним захворюванням персика. Він проявляється у вигляді моніліального опіку (в’янення пагонів і листя) навесні та плодової гнилі (гнійнисті плями на плодах, що покриваються сірим нальотом) влітку. Хвороба може призвести до значних втрат урожаю, тому потребує своєчасного лікування та профілактики. Уражені плоди буріють, зморщуються й залишаються висіти на дереві, стаючи джерелом інфекції на наступний сезон. Хвороба швидко поширюється при дотику плодів. Для запобігання розвитку моніліозу проводять санітарну обрізку, прорідження зав’язі та три послідовні обробки фунгіцидами: перед цвітінням, після нього і в період формування плодів. У системах захисту добре працюють препарати «Хорус», «Топаз» і «Топсин-М».
Надійний захист персика базується на поєднанні правильної агротехніки, санітарних заходів і планових обробок. Регулярна обрізка, провітрювання крони, прибирання опалого листя, контроль вологості ґрунту і використання ефективних фунгіцидів та інсектицидів у відповідні фази розвитку культури дають змогу підтримувати дерева здоровими й отримувати стабільний урожай високоякісних плодів.
Осінній сезон посадки саджанців наближається!
Шановні покупці! Наближається відкриття осіннього сезону продажу саджанців із відкритою кореневою системою. Орієнтовний старт — 5–10 жовтня. Точні дати залежать від погодних умов: за теплої осені викопування може розпочатися трохи пізніше, щоб саджанці були максимально підготовлені до пересадки. Старші саджанці та виноград потребують довшого визрівання та будуть готові у другій половині жовтня.
Після викопки та опадання листя саджанці можна висаджувати аж до настання морозів у грудні. Основне приживання відбуватиметься вже навесні, тому можна не поспішати висадити чим раніше. Найкращими термінами для осінньої посадки є кінець жовтня — початок листопада.
Асортимент на сайті поступово оновлюватиметься. Відправку замовлень поштою плануємо розпочати після старту сезону.
Рекомендуємо заздалегідь вивчати та формувати списки бажаних сортів, щоб забронювати їх коли вони зʼявляться у продажу.

